People continue to grow well into their 70s, but they're not growing taller, they're growing wider.
By the age of 20, most people have reached skeletal maturity and do not grow any taller. It is also assumed that skeletal enlargement elsewhere in the body also stops by this time. Though it's a fairly common experience for people to find themselves to be wider at the age of 40 or 60 then they were at 20, until recently it was assumed that this was caused simply by an increase in body fat.
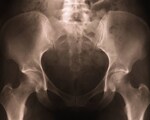
Researchers in USA had noticed evidence of pelvic widening in X-rays from patients. They searched the scientific literature and found no previous studies that directly examined whether or not the skeleton continues to widen after skeletal maturity. To examine this question, they randomly selected 246 patients in various age groups (20 male and 20 female patients in each 10-year age group, from the 20-29 age group to the 70-79 age group). The patients' CT scans were examined to measure the width and height of the L4 vertebral body (as an indication of whether these patients were taller and larger overall), the width of the pelvic inlet (the birth canal opening in the middle of the pelvis), the distance between the femoral heads (hip joints) and the diameters of the femoral heads.
The study found the width of the patients' pelvises continued to grow, even after skeletal maturity at 20 years of age. Specifically, the researchers noted, the pelvic inlet (the birth canal opening in the middle of the pelvis) widened, which is evidence of actual pelvic growth.
On average, the pelvic width of the oldest patients in the study was nearly an inch larger than the youngest patients. The study's authors explained this one-inch increase in pelvic diameter, by itself, could lead to an approximately three-inch increase in waist size from age 20 to age 79.
The study concludes that growth of pelvic (hip) bones contribute to people becoming wider and having a larger waist size as they get older, whether or not they also have an increase in body fat . They also speculate that if the rest of the body is widening commensurately, this might account for a significant portion of an increase in body weight of about one pound a year that many people experience during the same period.
DoctorNDTV is the one stop site for all your health needs providing the most credible health information, health news and tips with expert advice on healthy living, diet plans, informative videos etc. You can get the most relevant and accurate info you need about health problems like diabetes, cancer, pregnancy, HIV and AIDS, weight loss and many other lifestyle diseases. We have a panel of over 350 experts who help us develop content by giving their valuable inputs and bringing to us the latest in the world of healthcare.











